売地
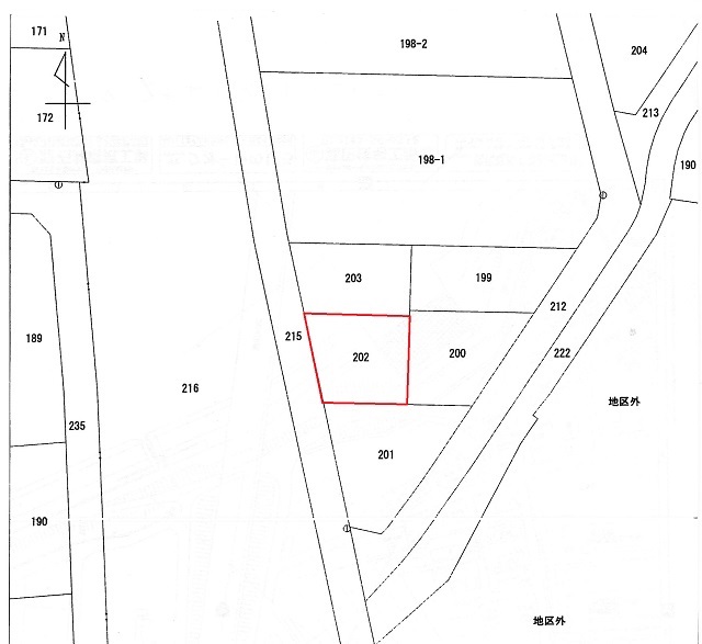
能代市落合字下前田
- 分類
- 向能代地域
- 用途地域
- 近隣商業地域
- 土地面積
- 276.53㎡ ( 83.65坪)
- 価格
- 250.9万円
- 学区
- 向能代小・東雲中
- 地目
- 宅地
- 所在地
- 能代市落合字下前田
物件詳細
- 所在地
- 能代市落合字下前田
- 用途地域
- 近隣商業地域
- 価格
- 250.9万円
- 建ペイ / 容積率
- 60%/200%
- 土地面積
- 276.53㎡(83.65坪)
- 建築条件
- なし
- 地目
- 宅地
- 引き渡し時期
- 相談
- 学区
- 向能代小・東雲中
- 取引の形態
- 一般媒介
- 私道負担
- なし
- 交通
- 向能代駅より1.9km
- 設備・その他
- 上水道:直近本管より引込要
下水道:区域外(合併浄化槽)
アクセスマップ
向能代地域
New
能代市字亀谷地、古悪土
- 土地面積
- 985.62㎡(298.15坪)
- 用途地域
- 娯楽・レクリエーション地区
- 学区
- 向能代小・東雲中
能代市向能代字平影野
- 土地面積
- 567.22㎡(171.58坪)
- 用途地域
- 第二種住居地域
- 学区
- 向能代小・東雲中
能代市落合字下大野
- 土地面積
- 204.01㎡(61.71坪)
- 用途地域
- 第二種住居地域
- 学区
- 向能代小・東雲中
New
能代市落合字下前田
- 土地面積
- 276.53㎡(83.65坪)
- 用途地域
- 近隣商業地域
- 学区
- 向能代小・東雲中
New
能代市落合字上釜谷地
- 土地面積
- 367㎡(111.01坪)
- 用途地域
- 第一種中高層住居専用地域
- 学区
- 向能代小・東雲中
New
能代市字向能代字平影野
- 土地面積
- 約254㎡(約76坪)
- 用途地域
- 第二種住居地域
- 学区
- 向能代小・東雲中
New
能代市向能代字上野
- 土地面積
- 251.90㎡(76.2坪)
- 用途地域
- 第二種住居地域
- 学区
- 向能代小・東雲中
New
能代市落合字上谷地
- 土地面積
- 260.53㎡(78.81坪)
- 用途地域
- 近隣商業地域
- 学区
- 向能代小・東雲中
New
能代市落合字上谷地
- 土地面積
- 307.97㎡(93.16坪)
- 用途地域
- 近隣商業地域
- 学区
- 向能代小・東雲中
能代市向能代字平影野
- 土地面積
- 567.22㎡(171.58坪)
- 用途地域
- 第二種住居地域
- 学区
- 向能代小・東雲中