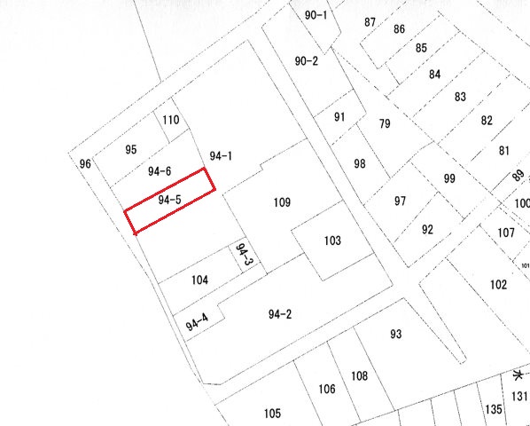
売地
能代市栄町
- 分類
- 能代市内
- 用途地域
- 近隣商業地域(準防火地域)
- 土地面積
- 208.77㎡ ( 63.15坪)
- 価格
- 250万円
- 学区
- 南小・二中
- 地目
- 宅地
- 所在地
- 能代市栄町
物件詳細
- 所在地
- 能代市栄町
- 用途地域
- 近隣商業地域(準防火地域)
- 価格
- 250万円
- 建ペイ / 容積率
- 80%/200%
- 土地面積
- 208.77㎡(63.15坪)
- 建築条件
- なし
- 地目
- 宅地
- 引き渡し時期
- 即時
- 学区
- 南小・二中
- 取引の形態
- 一般媒介
- 私道負担
- なし
- 交通
- 能代駅より1km
- 設備・その他
- 上水道:宅地内引込済
下水道:前面道路
接道:西側幅員6m/接面7m
アクセスマップ
能代市内
New
能代市鰄渕字鰄渕
- 土地面積
- 280.61㎡(84.88坪)
- 用途地域
- 第一種住居地域
- 学区
- 五小・東中
New
能代市字大瀬儘下
- 土地面積
- 247.95㎡(75.0坪)
- 用途地域
- 第二種中高層住居専用地域
- 学区
- 四小・二中
New
能代市字大瀬儘下
- 土地面積
- 1087.82㎡(329.06坪)
- 用途地域
- 第二種中高層住居専用地域
- 学区
- 四小・二中
New
能代市二ツ井町字比井野
- 土地面積
- 331.90㎡(100.39坪)
- 用途地域
- 第一種住居地域
- 学区
- 二ツ井小・二ツ井中
New
能代市字一本木
- 土地面積
- 546.60㎡(165.34坪)
- 用途地域
- 近隣商業地域
- 学区
- 五小・東中
New
能代市日吉町
- 土地面積
- 433.14㎡(131.02坪)
- 用途地域
- 第一種住居地域
- 学区
- 西小・一中
New
能代市字西大瀬
- 土地面積
- 198.36㎡(60.0坪)
- 用途地域
- 第二種中高層住居専用地域
- 学区
- 四小・二中
New
能代市字機織轌ノ目
- 土地面積
- 493.09㎡(149.16坪)
- 用途地域
- 近隣商業地域
- 学区
- 五小・東中
New
能代市字豊祥岱
- 土地面積
- 63.37㎡(19.16坪)
- 用途地域
- 近隣商業地域
- 学区
- 南小・二中
New
能代市二ツ井町字山根
- 土地面積
- 495.0㎡(149.73坪)
- 用途地域
- 準工業地域
- 学区
- 二ツ井小・二ツ井中