売地
能代市字一本木
- 分類
- 売地
- 用途地域
- 近隣商業地域
- 土地面積
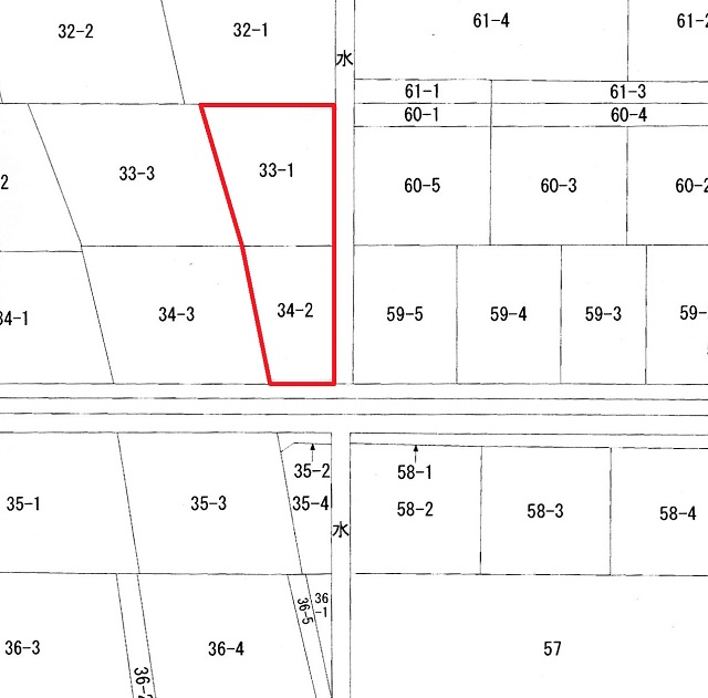
- 546.60㎡ ( 165.34坪)
- 価格
- 1,000万円
- 学区
- 五小・東中
- 地目
- 宅地
- 所在地
- 能代市字一本木
物件詳細
- 所在地
- 能代市字一本木
- 用途地域
- 近隣商業地域
- 価格
- 1,000万円
- 建ペイ / 容積率
- 80%/200%
- 土地面積
- 546.60㎡(165.34坪)
- 建築条件
- なし
- 地目
- 宅地
- 引き渡し時期
- 相談
- 学区
- 五小・東中
- 取引の形態
- 一般媒介
- 私道負担
- なし
- 交通
- 東能代駅より0.5km
- 設備・その他
- 上・下水道:前面道路
※現況引渡し
アクセスマップ
売地
New
山本郡三種町森岳小狭間
- 土地面積
- 249.30㎡(75.41坪)
- 用途地域
- 無指定地域
- 学区
- 森岳小・三種中
New
能代市鰄渕字鰄渕
- 土地面積
- 280.61㎡(84.88坪)
- 用途地域
- 第一種住居地域
- 学区
- 五小・東中
New
能代市字大瀬儘下
- 土地面積
- 247.95㎡(75.0坪)
- 用途地域
- 第二種中高層住居専用地域
- 学区
- 四小・二中
New
能代市字大瀬儘下
- 土地面積
- 1087.82㎡(329.06坪)
- 用途地域
- 第二種中高層住居専用地域
- 学区
- 四小・二中
New
能代市二ツ井町字比井野
- 土地面積
- 331.90㎡(100.39坪)
- 用途地域
- 第一種住居地域
- 学区
- 二ツ井小・二ツ井中
New
能代市字一本木
- 土地面積
- 546.60㎡(165.34坪)
- 用途地域
- 近隣商業地域
- 学区
- 五小・東中
New
山本郡三種町大口字釜谷
- 土地面積
- 303.89㎡(91.92坪)
- 用途地域
- 無指定地域
- 学区
- 浜口小・三種中
New
能代市字西大瀬
- 土地面積
- 198.36㎡(60.0坪)
- 用途地域
- 第二種中高層住居専用地域
- 学区
- 四小・二中
New
能代市字機織轌ノ目
- 土地面積
- 493.09㎡(149.16坪)
- 用途地域
- 近隣商業地域
- 学区
- 五小・東中
New
山本郡三種町鹿渡字勢奈尻
- 土地面積
- 301.64㎡(91.24坪)
- 用途地域
- 都市計画区域外
- 学区
- 琴丘小・三種中